






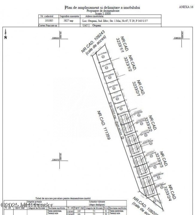
Teren intravilan de vanzare, 553mp, Otopeni
Otopeni
100.000€ + TVA
- ID:FX65185
- S. teren:553.28 mp
- Clasificare teren:Intravilan
- Regim inaltime:P+2+M
Descriere
Investeste inteligent in Otopeni!Iti prezint spre vanzare un teren intravilan, ideal pentru un proiect imobiliar profitabil sau pentru a-ti construi casa visurilor.Situat pe strada 1 Mai, intr-o zona rezidentiala linistita, terenul ofera intimitate si acces facil din doua strazi.Beneficiezi de toate utilitatile la poarta, apa, gaz, electricitate si canalizare, si de documentatie completa. Acest teren iti ofera flexibilitatea de a construi fie doua case cuplate, pentru care exista autorizatie de construire valabila, fie o resedinta spatioasa.Nu rata aceasta sansa! Contacteaza-ma acum pentru a transforma acest teren in proiectul tau de succes.
Citeste mai mult
Specificatii
Curent
Apa
Canalizare
Gaz
CATV
Acces internet
Silviu Vatui
+40773972081
Esti interesat de aceasta proprietate ?